Town of Cortlandt Online Only Tax Foreclosure Auction Friday, September 26, 2025 ending at 10AM
Location: Online Only NYSauctions.com. Bidding will open Wednesday, September 24 at 10AM
Bidders Seminar: Watch NOW

Quick Links:
Brochure
Lead Based Paint Booklet
Town Contact Information
Fair Housing Notice
Property Showings - Online only, view photos.
View Internet Bidding Packet - Please note: Link to e-signature Internet Bidding Packet will be sent to you when you register for the auction via email 9/12. Your online account will say “NOT Approved” to bid until we approve you on the Monday prior to the auction.

Auction Info

Town of Cortlandt Online Only Tax Foreclosure Auction Friday, September 26, 2025 ending at 10AM
Location: Online Only NYSauctions.com. Bidding will open Wednesday, September 24 at 10AM
Bidders Seminar: Watch NOW

Quick Links:
Brochure
Lead Based Paint Booklet
Town Contact Information
Fair Housing Notice
Property Showings - Online only, view photos.
View Internet Bidding Packet - Please note: Link to e-signature Internet Bidding Packet will be sent to you when you register for the auction via email 9/12. Your online account will say “NOT Approved” to bid until we approve you on the Monday prior to the auction.


Categories:
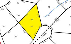
Residential vacant land.
Tax Map #: 45.9-1-26
Lot Size: 0 x 0 Ft X
School District: Hendrick Hudson CSD
Full Market Value: $50847
Inspection: Vacant land. Drive by anytime.
School Tax Due: $
Village Tax Due: $
County Tax Due: $
Down Payment Calculator
 

Former Deed
Real Property Tax Service printout

Track this Item

More Details
Residential vacant land.
Tax Map #: 45.9-1-26
Lot Size: 0 x 0 Ft X
School District: Hendrick Hudson CSD
Full Market Value: $50847
Inspection: Vacant land. Drive by anytime.
School Tax Due: $
Village Tax Due: $
County Tax Due: $
Down Payment Calculator
 

Former Deed
Real Property Tax Service printout

Track this Item

High Bid:
$42,000.00 – sassi1963

bidding history

Auction Type: One Lot
Quantity: 1

Bidding has closed on this lot