Essex County Tax Foreclosure Auction:  January 21, 10AM. Live Registration Opens at 8AM. Online bidder approval will occur January 19 at 10AM
Location: Best Western Plus, Ticonderoga Inn & Suites, 260 Burgoyne Rd, Ticonderoga, NY 12883 or online at NYSAuctions.com
Bidders Seminar - Monday, January 19 at 6PM Location: Best Western Plus, Ticonderoga Inn & Suites, 260 Burgoyne Rd, Ticonderoga, NY 12883 or Watch NOW 

Quick Links:

Brochure 
Property Removal List 
Lead Based Paint Booklet
Towns Contact Information
Fair Housing Notice
Property Showings Monday 1/19 & 1/20, Schedule posted here @ 1/16
Internet Bidding Packet Looking to bid in person but skip the registration line? Register for auction, complete the IBP sent via email from DocuSign and indicate on Page 2 that you are bidding in person. Or you can register and bid online only. Please note: Link to e-signature Internet Bidding Packet will be sent via email @ 1/9/2026. You must register for the auction to receive the email. Your online account Approval will update to "Yes"; when the auction opens for bidding on Monday, January 19 @ 10AM.

Auction Info

Essex County Tax Foreclosure Auction:  January 21, 10AM. Live Registration Opens at 8AM. Online bidder approval will occur January 19 at 10AM
Location: Best Western Plus, Ticonderoga Inn & Suites, 260 Burgoyne Rd, Ticonderoga, NY 12883 or online at NYSAuctions.com
Bidders Seminar - Monday, January 19 at 6PM Location: Best Western Plus, Ticonderoga Inn & Suites, 260 Burgoyne Rd, Ticonderoga, NY 12883 or Watch NOW 

Quick Links:

Brochure 
Property Removal List 
Lead Based Paint Booklet
Towns Contact Information
Fair Housing Notice
Property Showings Monday 1/19 & 1/20, Schedule posted here @ 1/16
Internet Bidding Packet Looking to bid in person but skip the registration line? Register for auction, complete the IBP sent via email from DocuSign and indicate on Page 2 that you are bidding in person. Or you can register and bid online only. Please note: Link to e-signature Internet Bidding Packet will be sent via email @ 1/9/2026. You must register for the auction to receive the email. Your online account Approval will update to "Yes"; when the auction opens for bidding on Monday, January 19 @ 10AM.


Categories:
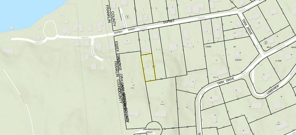
Residential vacant land.
Tax Map #: 32.279-2-2.000
Lot Size: 0.30 +/- Acre X
School District: Saranac Lake CSD
Full Market Value: $29800
Inspection: May not have road access.
School Tax Due: $
Village Tax Due: $
County Tax Due: $
Down Payment Calculator
 

Deed Research
Real Property Tax Service printout

Track this Item

More Details
Residential vacant land.
Tax Map #: 32.279-2-2.000
Lot Size: 0.30 +/- Acre X
School District: Saranac Lake CSD
Full Market Value: $29800
Inspection: May not have road access.
School Tax Due: $
Village Tax Due: $
County Tax Due: $
Down Payment Calculator
 

Deed Research
Real Property Tax Service printout

Track this Item

Starting Bid:
$100.00

Auction Type: One Lot
Quantity: 1

Minimum Next Bid: $100.00 bid increments


Login to Bid