Hamilton County Online Only Tax Foreclosure Auction: May 14 @ 10AM
Location: Online Only NYSauctions.com. Bidding will open Monday, May 12th at 10AM
Bidders Seminar: Watch NOW

Quick Links:
Brochure
Lead Based Paint Booklet
Fair Housing Notice
Towns Contact Information
Property Showings:
Online only see photos

Internet Bidding Packet: Please note: Link to e-signature Internet Bidding Packet will be sent to about 2 weeks prior to the auction date via email. Your online account will say "NOT Approved" to bid until we "Approve" you to bid when the auction opens Monday, May 12.

Auction Info

Hamilton County Online Only Tax Foreclosure Auction: May 14 @ 10AM
Location: Online Only NYSauctions.com. Bidding will open Monday, May 12th at 10AM
Bidders Seminar: Watch NOW

Quick Links:
Brochure
Lead Based Paint Booklet
Fair Housing Notice
Towns Contact Information
Property Showings:
Online only see photos

Internet Bidding Packet: Please note: Link to e-signature Internet Bidding Packet will be sent to about 2 weeks prior to the auction date via email. Your online account will say "NOT Approved" to bid until we "Approve" you to bid when the auction opens Monday, May 12.


Categories:
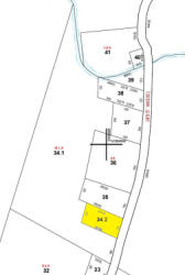
Rural vacant land.
Tax Map #: 119.011-1-34.200
Lot Size: Ft 125 X 240
School District: Piseco CSD
Full Market Value: $10526
Inspection: Vacant land. Drive by anytime.
School Tax Due: $
Village Tax Due: $
County Tax Due: $
Down Payment Calculator
 

Former Deed
Real Property Tax Service printout

Track this Item

More Details
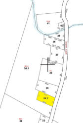
Rural vacant land.
Tax Map #: 119.011-1-34.200
Lot Size: Ft 125 X 240
School District: Piseco CSD
Full Market Value: $10526
Inspection: Vacant land. Drive by anytime.
School Tax Due: $
Village Tax Due: $
County Tax Due: $
Down Payment Calculator
 

Former Deed
Real Property Tax Service printout

Track this Item

High Bid:
$16,000.00 – delta70

bidding history

Auction Type: One Lot
Quantity: 1

Bidding has closed on this lot