Madison County Online Only Tax Foreclosure Auction: September 18, 2025 @ 10AM
Location: Online Only NYSAuctions.com Bidding will open Monday, September 15 at 10AM
Bidders Seminar: Watch NOW

Quick Links:
Brochure

Removals
Lead Based Paint Booklet
Towns Contact Information
Fair Housing Notice
Property Showings: Online only see photos
Internet Bidding Packet  Please note: Link to e-signature Internet Bidding Packet will be sent 9/5. Your online account Approval will update to Yes; when the auction opens for bidding on Monday, September 15. 

Auction Info

Madison County Online Only Tax Foreclosure Auction: September 18, 2025 @ 10AM
Location: Online Only NYSAuctions.com Bidding will open Monday, September 15 at 10AM
Bidders Seminar: Watch NOW

Quick Links:
Brochure

Removals
Lead Based Paint Booklet
Towns Contact Information
Fair Housing Notice
Property Showings: Online only see photos
Internet Bidding Packet  Please note: Link to e-signature Internet Bidding Packet will be sent 9/5. Your online account Approval will update to Yes; when the auction opens for bidding on Monday, September 15. 


Categories:
Rural vacant land.
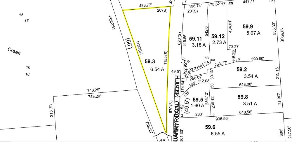
Tax Map #: 82.-1-59.3
Lot Size: 6.54 +/- Acre X
School District: Stockbridge Valley CSD
Full Market Value: $24576
Inspection: Vacant land. Drive by anytime.
School Tax Due: $
Village Tax Due: $
County Tax Due: $
Down Payment Calculator
 

Former Deed
Real Property Tax Service printout

Track this Item

More Details
Rural vacant land.
Tax Map #: 82.-1-59.3
Lot Size: 6.54 +/- Acre X
School District: Stockbridge Valley CSD
Full Market Value: $24576
Inspection: Vacant land. Drive by anytime.
School Tax Due: $
Village Tax Due: $
County Tax Due: $
Down Payment Calculator
 

Former Deed
Real Property Tax Service printout

Track this Item

High Bid:
$10,000.00 – evergreendsllc

bidding history

Auction Type: One Lot
Quantity: 1

Bidding has closed on this lot