Clinton County Tax Foreclosure Auction: June 3, 2025 at 10AM, This is a live auction with simultaneous internet bidding. Online bidders can begin placing bids on Friday. Then, on Tuesday, both online and in-person bidders will participate in real time alongside the auctioneer as the live auction unfolds.
Location: West Side Ballroom, 253 New York Road, Plattsburgh or online at NYSAuctions.com
Bidders Seminar - Monday, June 2nd at 7PM via West Side Ballroom or Watch NOW
Note: 5% County Redevelopment Fee on all purchases

Quick Links:
Brochure
Property Removals
Lead Based Paint Booklet
Towns Contact Information
Fair Housing Notice
Property Showings -
June 2nd. NOW POSTED!

Internet Bidding PacketInternet Bidding Packet - REGISTRATION IS CLOSED

Auction Info

Clinton County Tax Foreclosure Auction: June 3, 2025 at 10AM, This is a live auction with simultaneous internet bidding. Online bidders can begin placing bids on Friday. Then, on Tuesday, both online and in-person bidders will participate in real time alongside the auctioneer as the live auction unfolds.
Location: West Side Ballroom, 253 New York Road, Plattsburgh or online at NYSAuctions.com
Bidders Seminar - Monday, June 2nd at 7PM via West Side Ballroom or Watch NOW
Note: 5% County Redevelopment Fee on all purchases

Quick Links:
Brochure
Property Removals
Lead Based Paint Booklet
Towns Contact Information
Fair Housing Notice
Property Showings -
June 2nd. NOW POSTED!

Internet Bidding PacketInternet Bidding Packet - REGISTRATION IS CLOSED

Categories:
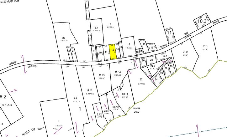
Residential Vacant land. Tentative assessment/full market value: $ 5900
Tax Map #: 307.2-1-12
Lot Size: Ft 100 X 215
School District: Ausable Valley CSD
Full Market Value: $
Inspection: Vacant Land. Drive by anytime.
School Tax Due: $
Village Tax Due: $
County Tax Due: $
Down Payment Calculator
 

Former Deed
Real Property Tax Service printout

Track this Item

More Details
Residential Vacant land. Tentative assessment/full market value: $ 5900
Tax Map #: 307.2-1-12
Lot Size: Ft 100 X 215
School District: Ausable Valley CSD
Full Market Value: $
Inspection: Vacant Land. Drive by anytime.
School Tax Due: $
Village Tax Due: $
County Tax Due: $
Down Payment Calculator
 

Former Deed
Real Property Tax Service printout

Track this Item

High Bid:
$19,000.00 –

bidding history

Auction Type: One Lot
Quantity: 1