Madison County Online Only Tax Foreclosure Auction Ending September 19
Bidding Opens Monday, September 16 at 10AM, Bidding Starts to Close Thursday, September 19th at 10AM
Bidders Seminar: Zoom meeting 9/4 at 7PM (Registration click HERE) or Listen NOW

Quick Links:
Brochure 

Removals
Lead Based Paint Booklet
Towns Contact Information
Fair Housing Notice
Property Showings: Online only see pohotos
Internet Bidding Packet Please note: Link to e-signature Internet Bidding Packet will be sent to about 9/6 via email. All registration is online. Your online account will say “NOT Approved” to bid until we "Approve" you to bid when the auction opens.

Auction Info

Madison County Online Only Tax Foreclosure Auction Ending September 19
Bidding Opens Monday, September 16 at 10AM, Bidding Starts to Close Thursday, September 19th at 10AM
Bidders Seminar: Zoom meeting 9/4 at 7PM (Registration click HERE) or Listen NOW

Quick Links:
Brochure 

Removals
Lead Based Paint Booklet
Towns Contact Information
Fair Housing Notice
Property Showings: Online only see pohotos
Internet Bidding Packet Please note: Link to e-signature Internet Bidding Packet will be sent to about 9/6 via email. All registration is online. Your online account will say “NOT Approved” to bid until we "Approve" you to bid when the auction opens.


Categories:
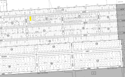
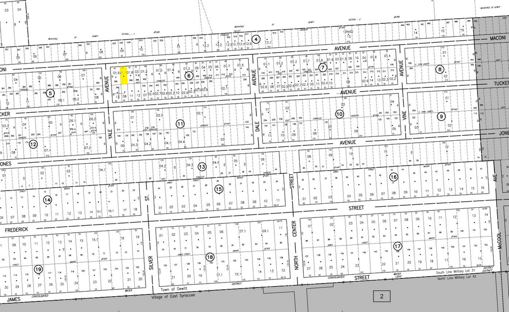
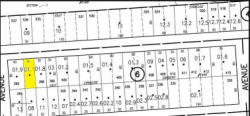
Residential vacant land. Adjacent to Lot #190.
Tax Map #: 040.-06-01.1
Lot Size: 0.05 +/- X Acre
School District: E Syracuse-Minoa CSD
Full Market Value: $700
Inspection: May not have road frontage.
School Tax Due: $
Village Tax Due: $
County Tax Due: $
Down Payment Calculator
 

Former Deed
Real Property Tax Service printout

Track this Item

More Details
Residential vacant land. Adjacent to Lot #190.
Tax Map #: 040.-06-01.1
Lot Size: 0.05 +/- X Acre
School District: E Syracuse-Minoa CSD
Full Market Value: $700
Inspection: May not have road frontage.
School Tax Due: $
Village Tax Due: $
County Tax Due: $
Down Payment Calculator
 

Former Deed
Real Property Tax Service printout

Track this Item

Starting Bid:
$25.00

Auction Type: One Lot
Quantity: 1

Bidding has closed on this lot