Greene County Online Only Tax Foreclosure Auction: October 29, 2025 at 10AM
Location: Online Only NYSauctions.com. Bidding will open Monday, October 27th 10AM
Bidders Seminar: Watch NOW

Quick Links:
Brochure
Removals

Lead Based Paint Booklet
Towns Contact Information
Fair Housing Notice
Property Showings - Online only, view photos
View Internet Bidding Packet- Please note: For bidding Approval, we will email you a Google form to complete. Then, Link to e-signature Internet Bidding Packet will be sent via email. Your online account Approval will update to Yes; when the auction opens for bidding on Monday, October 27.  

Auction Info

Greene County Online Only Tax Foreclosure Auction: October 29, 2025 at 10AM
Location: Online Only NYSauctions.com. Bidding will open Monday, October 27th 10AM
Bidders Seminar: Watch NOW

Quick Links:
Brochure
Removals

Lead Based Paint Booklet
Towns Contact Information
Fair Housing Notice
Property Showings - Online only, view photos
View Internet Bidding Packet- Please note: For bidding Approval, we will email you a Google form to complete. Then, Link to e-signature Internet Bidding Packet will be sent via email. Your online account Approval will update to Yes; when the auction opens for bidding on Monday, October 27.  


Categories:
Single family residence, 1 story, Cottage style, built 1935+/-, 360+/- sq. ft., 1BR/1BA.
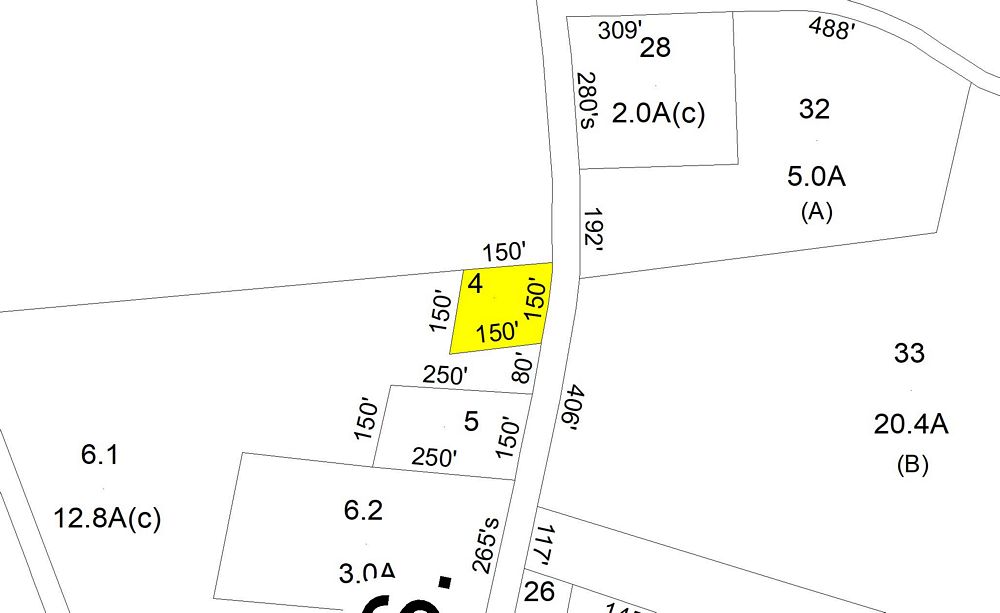
Tax Map #: 88.00-2-4
Lot Size: 0.52 +/- Acre X
School District: Coxsackie-Athens CSD
Full Market Value: $33500
Inspection: Drive by anytime.
School Tax Due: $1016.98
Village Tax Due: $
County Tax Due: $
Down Payment Calculator
 

Former Deed
Real Property Tax Service printout

Track this Item

More Details
Single family residence, 1 story, Cottage style, built 1935+/-, 360+/- sq. ft., 1BR/1BA.
Tax Map #: 88.00-2-4
Lot Size: 0.52 +/- Acre X
School District: Coxsackie-Athens CSD
Full Market Value: $33500
Inspection: Drive by anytime.
School Tax Due: $1016.98
Village Tax Due: $
County Tax Due: $
Down Payment Calculator
 

Former Deed
Real Property Tax Service printout

Track this Item

Closes On: Oct 29, 2025
10:53:00 AM – 10:54:00 AM EST

Starting Bid:
$100.00

Auction Type: One Lot
Quantity: 1

Minimum Next Bid: $100.00 bid increments


Login to Bid