Ulster County Online Only Tax Foreclosure Auction: May 8, 2024 @ 10AM, Bidding Opens Monday, May 6 at 10AM
Location:
NYSAuctions.com
Bidders Seminar - Watch NOW

Quick Links:
Brochure 

Property Removal List
Lead Based Paint Booklet
Towns Contact Information
Fair Housing Notice
Ulster Reacquisition Policy

Property Showings
:
Online only, view photos
Preview Internet Bidding Packet-
Please note: Link to e-signature Internet Bidding Packet will be sent about 4/26/24 via email. All registration is online. Your online account will say "NOT Approved" to bid until we "Approve" you to bid when the auction opens.

Auction Info

Ulster County Online Only Tax Foreclosure Auction: May 8, 2024 @ 10AM, Bidding Opens Monday, May 6 at 10AM
Location:
NYSAuctions.com
Bidders Seminar - Watch NOW

Quick Links:
Brochure 

Property Removal List
Lead Based Paint Booklet
Towns Contact Information
Fair Housing Notice
Ulster Reacquisition Policy

Property Showings
:
Online only, view photos
Preview Internet Bidding Packet-
Please note: Link to e-signature Internet Bidding Packet will be sent about 4/26/24 via email. All registration is online. Your online account will say "NOT Approved" to bid until we "Approve" you to bid when the auction opens.


Categories:
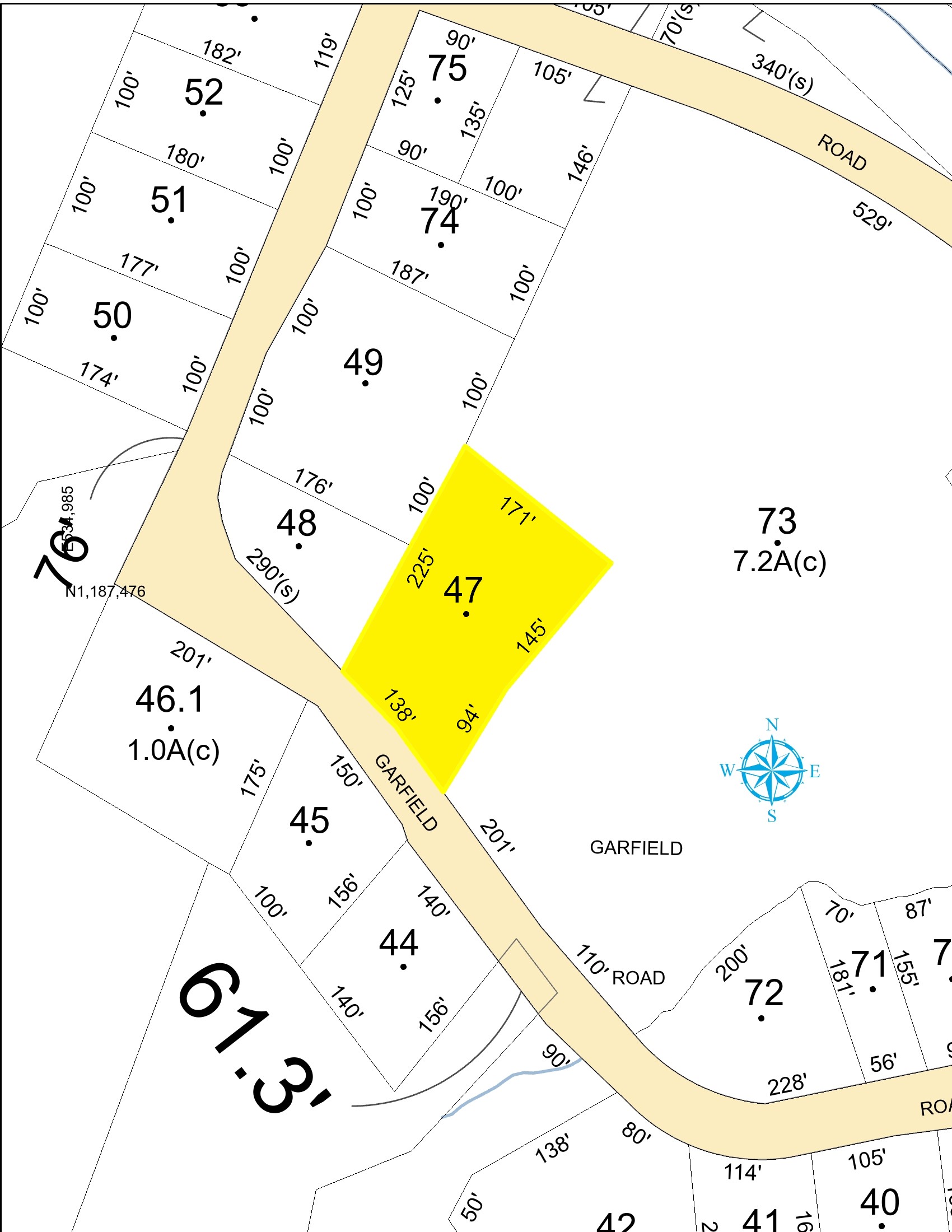
Single family residence, 1 story, Manufactured Housing style, built 1967 +/-, 807+/- sq. ft., 2BR/1BA, porch, detached garage. Adjacent to Lot #107.
Tax Map #: 013.012-0001-047.000-0000
Lot Size: 0.68 +/- X Acre
School District: Onteora CSD
Full Market Value: $118532
Inspection: Drive by anytime.
School Tax Due: $
Village Tax Due: $
County Tax Due: $
Down Payment Calculator
 

Deed Research
Real Property Tax Service printout

Track this Item

More Details
Single family residence, 1 story, Manufactured Housing style, built 1967 +/-, 807+/- sq. ft., 2BR/1BA, porch, detached garage. Adjacent to Lot #107.
Tax Map #: 013.012-0001-047.000-0000
Lot Size: 0.68 +/- X Acre
School District: Onteora CSD
Full Market Value: $118532
Inspection: Drive by anytime.
School Tax Due: $
Village Tax Due: $
County Tax Due: $
Down Payment Calculator
 

Deed Research
Real Property Tax Service printout

Track this Item

High Bid:
$173,000.00 – mclear900

bidding history

Auction Type: One Lot
Quantity: 1

Bidding has closed on this lot