Clinton County Tax Foreclosure Auction: June 10, 2024 at 10AM, Registration opens at 8AM. Bidder approval will occur manually on June 7, 2024 around 10am.
Location: West Side Ballroom, 253 New York Road, Plattsburgh or online at NYSAuctions.com
Bidders Seminar - Wednesday, May 29th at 7PM via West Side Ballroom or Watch NOW
New for 2024: 5% County Redevelopment Fee on all purchases

Quick Links:
Brochure 
Property Removals
Lead Based Paint Booklet
Towns Contact Information
Fair Housing Notice
Property Showings - May 30.

Internet Bidding Packet Your online account will say "NOT Approved" to bid until we "Approve" you to bid when the auction opens.

Auction Info

Clinton County Tax Foreclosure Auction: June 10, 2024 at 10AM, Registration opens at 8AM. Bidder approval will occur manually on June 7, 2024 around 10am.
Location: West Side Ballroom, 253 New York Road, Plattsburgh or online at NYSAuctions.com
Bidders Seminar - Wednesday, May 29th at 7PM via West Side Ballroom or Watch NOW
New for 2024: 5% County Redevelopment Fee on all purchases

Quick Links:
Brochure 
Property Removals
Lead Based Paint Booklet
Towns Contact Information
Fair Housing Notice
Property Showings - May 30.

Internet Bidding Packet Your online account will say "NOT Approved" to bid until we "Approve" you to bid when the auction opens.


Categories:
Single family residence, 1.5 story, Cottage style, built 1870+/-, 728+/- sq. ft., 2BR/1BA, detached garage.Tentative assessment/full market value: $ 86600
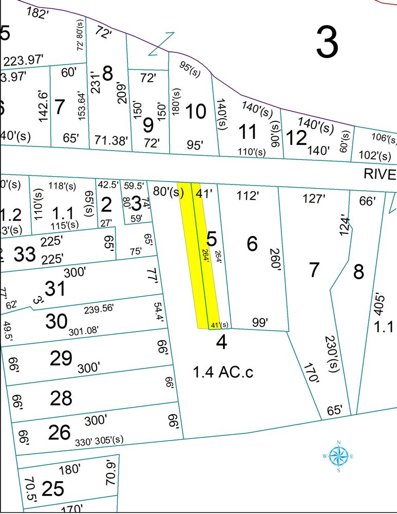
Tax Map #: 219.1-4-5
Lot Size: 41 X 264 Ft
School District: Saranac CSD
Full Market Value: $
Inspection: See website for extra photos.
School Tax Due: $
Village Tax Due: $
County Tax Due: $
Down Payment Calculator
 

Former Deed
Real Property Tax Service printout

Track this Item

More Details
Single family residence, 1.5 story, Cottage style, built 1870+/-, 728+/- sq. ft., 2BR/1BA, detached garage.Tentative assessment/full market value: $ 86600
Tax Map #: 219.1-4-5
Lot Size: 41 X 264 Ft
School District: Saranac CSD
Full Market Value: $
Inspection: See website for extra photos.
School Tax Due: $
Village Tax Due: $
County Tax Due: $
Down Payment Calculator
 

Former Deed
Real Property Tax Service printout

Track this Item

High Bid:
$29,000.00 –

bidding history

Auction Type: One Lot
Quantity: 1