Dutchess County Online Only Tax Foreclosure Real Estate Auction: October 22, 2025 at 10AM
Location: Online Only at NYSAuctions.com. Bidding will open Monday, October 20 at 10AM.
Bidders Seminar: Watch NOW

Quick Links:

Brochure 
Taxes Due at Closing 
Removal
Lead Based Paint Booklet
Towns and Villages

Fair Housing Notice
Property Showings:
Online Only, View Photos.

Internet Bidding Packet - Please note: For bidding Approval, we will email you a Google form to complete. Then, Link to e-signature Internet Bidding Packet will be sent 10/10 via email. Your online account Approval will update to Yes; when the auction opens for bidding on Monday, October 20. 

Auction Info

Dutchess County Online Only Tax Foreclosure Real Estate Auction: October 22, 2025 at 10AM
Location: Online Only at NYSAuctions.com. Bidding will open Monday, October 20 at 10AM.
Bidders Seminar: Watch NOW

Quick Links:

Brochure 
Taxes Due at Closing 
Removal
Lead Based Paint Booklet
Towns and Villages

Fair Housing Notice
Property Showings:
Online Only, View Photos.

Internet Bidding Packet - Please note: For bidding Approval, we will email you a Google form to complete. Then, Link to e-signature Internet Bidding Packet will be sent 10/10 via email. Your online account Approval will update to Yes; when the auction opens for bidding on Monday, October 20. 


Categories:
Single family residence, 1 story, Ranch style, built 1960+/-, 968+/- sq. ft., 3BR/1BA, attached garage, porch. Adjacent to Lot 45.
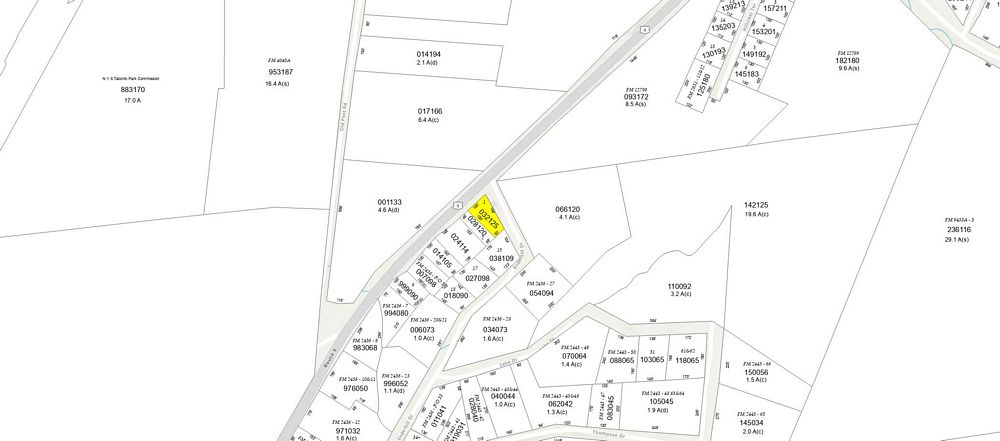
Tax Map #: 6167-03-032125-0000
Lot Size: 0.27 +/- Acre X
School District: Hyde Park CSD
Full Market Value: $21000
Inspection: Occupied. Drive by anytime.
School Tax Due: $3655.6
Village Tax Due: $
County Tax Due: $
Down Payment Calculator
 

Former Deed
Real Property Tax Service printout

Track this Item

More Details
Single family residence, 1 story, Ranch style, built 1960+/-, 968+/- sq. ft., 3BR/1BA, attached garage, porch. Adjacent to Lot 45.
Tax Map #: 6167-03-032125-0000
Lot Size: 0.27 +/- Acre X
School District: Hyde Park CSD
Full Market Value: $21000
Inspection: Occupied. Drive by anytime.
School Tax Due: $3655.6
Village Tax Due: $
County Tax Due: $
Down Payment Calculator
 

Former Deed
Real Property Tax Service printout

Track this Item

Closes On: Oct 22, 2025
10:43:00 AM – 10:44:00 AM EST

Starting Bid:
$12,156.31

Auction Type: One Lot
Quantity: 1

Minimum Next Bid: $12,156.31 bid increments


Login to Bid