Otsego County Online Only Tax Foreclosure Real Estate Auction Ending: Wednesday, January 14, 2026 @ 10AM
Location:
Online Only NYSAuctions.com. Bidding will open Monday, January 12  @ 10AM
Bidders Seminar: Watch NOW

Quick Links:
Brochure 

Removals 

Lead Based Paint Booklet
Towns Contact Information
Fair Housing Notice
Property Showings: Online only
View Internet Bidding Packet - Please note: Link to e-signature Internet Bidding Packet will be sent to about 2 weeks prior to the auction date via email. Your online account Approval will update to "Yes"; when the auction opens for bidding on Monday, January 12.

Auction Info

Otsego County Online Only Tax Foreclosure Real Estate Auction Ending: Wednesday, January 14, 2026 @ 10AM
Location:
Online Only NYSAuctions.com. Bidding will open Monday, January 12  @ 10AM
Bidders Seminar: Watch NOW

Quick Links:
Brochure 

Removals 

Lead Based Paint Booklet
Towns Contact Information
Fair Housing Notice
Property Showings: Online only
View Internet Bidding Packet - Please note: Link to e-signature Internet Bidding Packet will be sent to about 2 weeks prior to the auction date via email. Your online account Approval will update to "Yes"; when the auction opens for bidding on Monday, January 12.


Categories:
Manufactured housing. In Agricultural District.
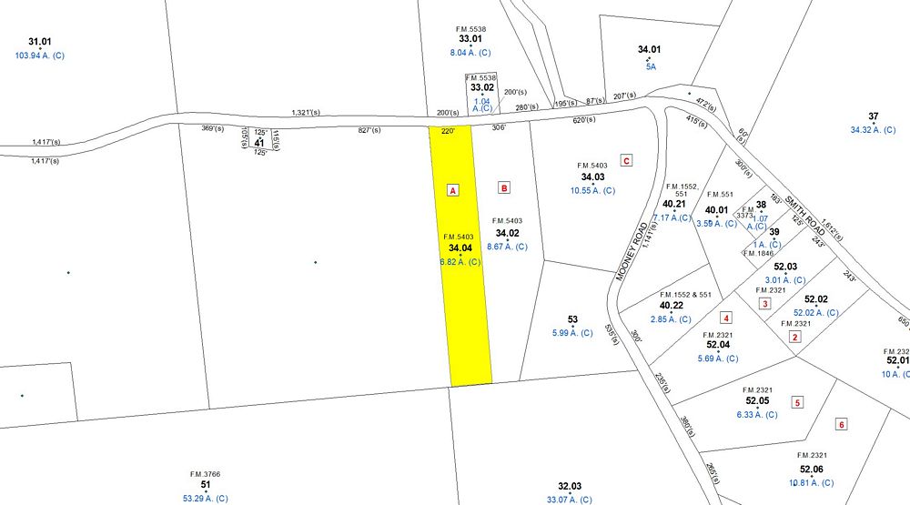
Tax Map #: 215.00-1-34.04
Lot Size: 6.82 +/- Acre X
School District: Worcester CSD
Full Market Value: $85158
Inspection: See web for photos.
School Tax Due: $
Village Tax Due: $
County Tax Due: $
Down Payment Calculator
 

Former Deed
Real Property Tax Service printout

Track this Item

More Details
Manufactured housing. In Agricultural District.
Tax Map #: 215.00-1-34.04
Lot Size: 6.82 +/- Acre X
School District: Worcester CSD
Full Market Value: $85158
Inspection: See web for photos.
School Tax Due: $
Village Tax Due: $
County Tax Due: $
Down Payment Calculator
 

Former Deed
Real Property Tax Service printout

Track this Item

Closes On: Jan 14, 2026
12:30:00 PM – 12:31:00 PM EST

Starting Bid:
$6,977.95

Auction Type: One Lot
Quantity: 1

Minimum Next Bid: $6,977.95 bid increments


Login to Bid