Otsego County Online Only Tax Foreclosure Real Estate Auction Ending: Wednesday, January 14, 2026 @ 10AM
Location:
Online Only NYSAuctions.com. Bidding will open Monday, January 12  @ 10AM
Bidders Seminar: Watch NOW

Quick Links:
Brochure 

Removals 

Lead Based Paint Booklet
Towns Contact Information
Fair Housing Notice
Property Showings: Online only
View Internet Bidding Packet - Please note: Link to e-signature Internet Bidding Packet will be sent to about 2 weeks prior to the auction date via email. Your online account Approval will update to "Yes"; when the auction opens for bidding on Monday, January 12.

Auction Info

Otsego County Online Only Tax Foreclosure Real Estate Auction Ending: Wednesday, January 14, 2026 @ 10AM
Location:
Online Only NYSAuctions.com. Bidding will open Monday, January 12  @ 10AM
Bidders Seminar: Watch NOW

Quick Links:
Brochure 

Removals 

Lead Based Paint Booklet
Towns Contact Information
Fair Housing Notice
Property Showings: Online only
View Internet Bidding Packet - Please note: Link to e-signature Internet Bidding Packet will be sent to about 2 weeks prior to the auction date via email. Your online account Approval will update to "Yes"; when the auction opens for bidding on Monday, January 12.


Categories:
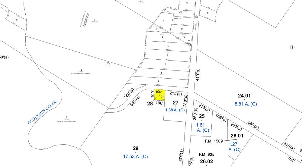
Rural vacant land.
Tax Map #: 25.00-1-28.00
Lot Size: 0.11 +/- Acre X
School District: Richfield Spr CSD
Full Market Value: $1053
Inspection: Vacant Land. Drive by anytime.
School Tax Due: $
Village Tax Due: $
County Tax Due: $
Down Payment Calculator
 

Former Deed
Real Property Tax Service printout

Track this Item

More Details
Rural vacant land.
Tax Map #: 25.00-1-28.00
Lot Size: 0.11 +/- Acre X
School District: Richfield Spr CSD
Full Market Value: $1053
Inspection: Vacant Land. Drive by anytime.
School Tax Due: $
Village Tax Due: $
County Tax Due: $
Down Payment Calculator
 

Former Deed
Real Property Tax Service printout

Track this Item

Closes On: Jan 14, 2026
11:47:00 AM – 11:48:00 AM EST

Starting Bid:
$422.83

Auction Type: One Lot
Quantity: 1

Minimum Next Bid: $422.83 bid increments


Login to Bid