Live Auction with Online Bidding: Wednesday, June 22 @ 10AM, Registration @ 8AM
Location: Orleans County Cornell Cooperative Extension, Trolley Barn, 12690 NYS Route 31, Albion, NY 14411 or Bid Online
Online Bidders Seminar
- NOW Posted

Quick Links:
Brochure
Property Removals
Lead Based Paint Booklet
Towns Contact Information
Fair Housing Notice
Taxes Due At Closing
-Now posted
Property Showings - Tuesday, June 21. Schedule NOW posted!

View Internet Bidding Packet - Looking to bid in person but skip the registration line? Register for auction, complete the IBP sent via email from DocuSign and indicate on Page 2 that you are bidding in person. Or you can register and bid online only. Please note: Link to e-signature Internet Bidding Packet will be sent via email when you register for the auction.

Auction Info

Live Auction with Online Bidding: Wednesday, June 22 @ 10AM, Registration @ 8AM
Location: Orleans County Cornell Cooperative Extension, Trolley Barn, 12690 NYS Route 31, Albion, NY 14411 or Bid Online
Online Bidders Seminar
- NOW Posted

Quick Links:
Brochure
Property Removals
Lead Based Paint Booklet
Towns Contact Information
Fair Housing Notice
Taxes Due At Closing
-Now posted
Property Showings - Tuesday, June 21. Schedule NOW posted!

View Internet Bidding Packet - Looking to bid in person but skip the registration line? Register for auction, complete the IBP sent via email from DocuSign and indicate on Page 2 that you are bidding in person. Or you can register and bid online only. Please note: Link to e-signature Internet Bidding Packet will be sent via email when you register for the auction.


Categories:
Residential vacant land.
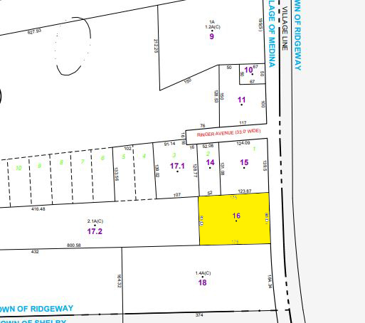
Tax Map #: 80.10-1-16
Lot Size: 88 175 Ft
School District: Medina CSD
Full Market Value: $6800
Inspection: Vacant Land. Drive by anytime.
School Tax Due: $
Village Tax Due: $
County Tax Due: $458.18
Down Payment Calculator
 

Real Property Tax Service printout
Former Deed

Track this Item

More Details
Residential vacant land.
Tax Map #: 80.10-1-16
Lot Size: 88 175 Ft
School District: Medina CSD
Full Market Value: $6800
Inspection: Vacant Land. Drive by anytime.
School Tax Due: $
Village Tax Due: $
County Tax Due: $458.18
Down Payment Calculator
 

Real Property Tax Service printout
Former Deed

Track this Item

High Bid:
$14,500.00 –

bidding history

Auction Type: One Lot
Quantity: 1