Franklin County Tax Foreclosure Auction August 3 at 10AM, Registration opens at 8AM
Location: Live at Mo's Pub and Grill, 3357 US-11, Malone, NY and Online at NYSAuctions.com
Bidder Seminar:
Monday, August 1 @ 7PM. ** Updated Location: Mo's Pub and Grill, 3357 US-11, Malone, NY, Pre-Registration at 6PM** or Listen NOW

Quick Links:
Brochure
Property Removal List

Lead Based Paint Booklet
Fair Housing Notice
Towns and Villages
Property Showings:
Monday, August 1 and Tuesday, August 2. Schedule NOW posted!
Internet Bidding Packet
 Looking to bid in person but skip the registration line? Register for auction, complete the IBP sent via email from DocuSign and indicate on Page 2 that you are bidding in person. Or you can register and bid online only. Please note: Link to e-signature Internet Bidding Packet will be sent via email when you register for the auction.

Auction Info

Franklin County Tax Foreclosure Auction August 3 at 10AM, Registration opens at 8AM
Location: Live at Mo's Pub and Grill, 3357 US-11, Malone, NY and Online at NYSAuctions.com
Bidder Seminar:
Monday, August 1 @ 7PM. ** Updated Location: Mo's Pub and Grill, 3357 US-11, Malone, NY, Pre-Registration at 6PM** or Listen NOW

Quick Links:
Brochure
Property Removal List

Lead Based Paint Booklet
Fair Housing Notice
Towns and Villages
Property Showings:
Monday, August 1 and Tuesday, August 2. Schedule NOW posted!
Internet Bidding Packet
 Looking to bid in person but skip the registration line? Register for auction, complete the IBP sent via email from DocuSign and indicate on Page 2 that you are bidding in person. Or you can register and bid online only. Please note: Link to e-signature Internet Bidding Packet will be sent via email when you register for the auction.


Categories:
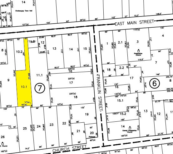
Detached row building, 2 story, built 1900+/-, 2080+/- sq. ft. Adjacent to Lot #73, 74 & 80.
Tax Map #: 61.13-7-10.100
Lot Size: 0.50 +/- Acre
School District: Chateaugay CSD
Full Market Value: $28986
Inspection: Drive by anytime.
School Tax Due: $
Village Tax Due: $
County Tax Due: $
Down Payment Calculator
 

Former Deed
Real Property Tax Service printout

Track this Item

More Details
Detached row building, 2 story, built 1900+/-, 2080+/- sq. ft. Adjacent to Lot #73, 74 & 80.
Tax Map #: 61.13-7-10.100
Lot Size: 0.50 +/- Acre
School District: Chateaugay CSD
Full Market Value: $28986
Inspection: Drive by anytime.
School Tax Due: $
Village Tax Due: $
County Tax Due: $
Down Payment Calculator
 

Former Deed
Real Property Tax Service printout

Track this Item

High Bid:
$1,250.00 –

bidding history

Auction Type: One Lot
Quantity: 1