This auction has been re-scheduled from 9/21 & 9/22
Sullivan County Tax Foreclosure Auction November 16 - 17, 2022. Bidding will Open Monday, November 14 @ 10AM
Day 1, November 16 @ 9:30AM: Lot #’s1-165
(Town of Bethel to Town of Liberty)
Day 2, November 17 @ 9:30AM: Lot #’s166-355
(Town of Lumberland to Town of Tusten)
Location: Online Only NYSAuctions.com. Bidding will open Monday, November 14 at 10AM
Bidders Seminar: Watch NOW

Quick Links:
Brochure
Removals

Lead Based Paint Booklet

Towns Contact Information
Taxes Due at Closing - NOW updated
Fair Housing Notice
Property Showings
:
Online Only, view photos
View Internet Bidding Packet - Please note: Your online account will say “NOT Approved” to bid until we approve you on the Monday prior to the auction. All registration is online and MUST be completed by 11/14 at 4PM. We will not send Internet Bidding Packets after 4PM on Monday, 11/14.

Auction Info

This auction has been re-scheduled from 9/21 & 9/22
Sullivan County Tax Foreclosure Auction November 16 - 17, 2022. Bidding will Open Monday, November 14 @ 10AM
Day 1, November 16 @ 9:30AM: Lot #’s1-165
(Town of Bethel to Town of Liberty)
Day 2, November 17 @ 9:30AM: Lot #’s166-355
(Town of Lumberland to Town of Tusten)
Location: Online Only NYSAuctions.com. Bidding will open Monday, November 14 at 10AM
Bidders Seminar: Watch NOW

Quick Links:
Brochure
Removals

Lead Based Paint Booklet

Towns Contact Information
Taxes Due at Closing - NOW updated
Fair Housing Notice
Property Showings
:
Online Only, view photos
View Internet Bidding Packet - Please note: Your online account will say “NOT Approved” to bid until we approve you on the Monday prior to the auction. All registration is online and MUST be completed by 11/14 at 4PM. We will not send Internet Bidding Packets after 4PM on Monday, 11/14.


Categories:
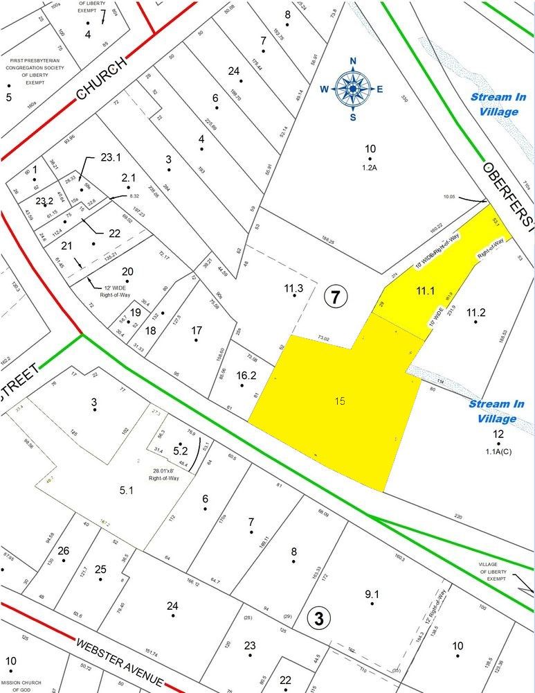
Auto dealership, 2 story, built 1930 +/-, 21220+/- sq. ft. and Vacant commercial land. Combined lot
Tax Map #: 112.-7-15 112.-7-11.1
Lot Size: 0.60 +/- Acre
School District: Liberty CSD
Full Market Value: $158600
Inspection: Drive by anytime.
School Tax Due: $
Village Tax Due: $6989.27
County Tax Due: $6871.6
Down Payment Calculator
 

Former Deed
Real Property Tax Service printout

Track this Item

More Details
Auto dealership, 2 story, built 1930 +/-, 21220+/- sq. ft. and Vacant commercial land. Combined lot
Tax Map #: 112.-7-15 112.-7-11.1
Lot Size: 0.60 +/- Acre
School District: Liberty CSD
Full Market Value: $158600
Inspection: Drive by anytime.
School Tax Due: $
Village Tax Due: $6989.27
County Tax Due: $6871.6
Down Payment Calculator
 

Former Deed
Real Property Tax Service printout

Track this Item

High Bid:
$275,000.00 – shabsi12

bidding history

Auction Type: One Lot
Quantity: 1

Bidding has closed on this lot